🐜 Gyümölcstermőkön károsító levéltetvek
Aphidológiai gyorstalpaló 4.
Ebben a cikkben rendszerezve bemutatom a gyümölcstermő növényeken legjelentősebb levéltetűfajokat, kitérve azok megjelenésére, életmódjára, gazdanövény-váltására és gyakorlati jelentőségére. A cél nem pusztán a felismerés, hanem annak megértése, mely faj mikor, hol és miért jelent valódi gazdasági kockázatot, és hogyan illeszthető ez a tudás a megelőző és célzott növényvédelmi stratégiákba.
Az előző részben a levéltetvek ökológiáját ismertettem.
A levéltetvek megjelenésének, biológiájának és ökológiai kapcsolatrendszerének ismertetése után a következő részekben sorra veszem a mezőgazdasági gyakorlat szempontjából legjelentősebb fajokat, melyek ismerete elengedhetetlen a hatékony védekezés megszervezése, ezáltal pedig a gazdasági kár megelőzése érdekében. Mivel a mérsékelt égövi gyümölcstermő növények (a szamóca kivételével) mind fásszarú fajok, így jellemzően fő, téli gazdanövényként szolgálnak a levéltetvek számára, és a kártétel is ehhez az életszakaszhoz kapcsolódik, de persze fajspecifikus eltérések előfordulnak. A gyümölcstermőkön károsító levéltetvek tojás alakban telelnek a kérgen vagy a rügyek tövében, majd az ősanyák a lombfakadással egy időben kelnek, és azonnal megkezdik a károsítást. A populációk csúcsa, és ezáltal a legnagyobb kártétel az intenzív hajtásnövekedés időszakában, általában május elejétől június közepéig jellemző, majd a szárnyas migráns nemzedék áttelepül valamilyen nyári tápnövényre. A levéltetvek legközelebb csak ősszel, jellemzően októberben jelennek meg a gyümölcsösökben: először a nőstények, majd a szárnyatlan ivaros nőstényeket megtermékenyítő szárnyas hímek. Bár ebben az időszakban sem közvetlen kártétel, sem hangyaőrizet nem jelentkezik, a visszatelepülő alakok azonban intenzíven keresik a telelő tojások lerakásához legideálisabb gazdát, mely során számos próbaszúrást ejtenek, így az őszi alakok vírusátviteli szerepe sokkal jelentősebb lehet, mint a népesebb tavaszi nemzedékeké.
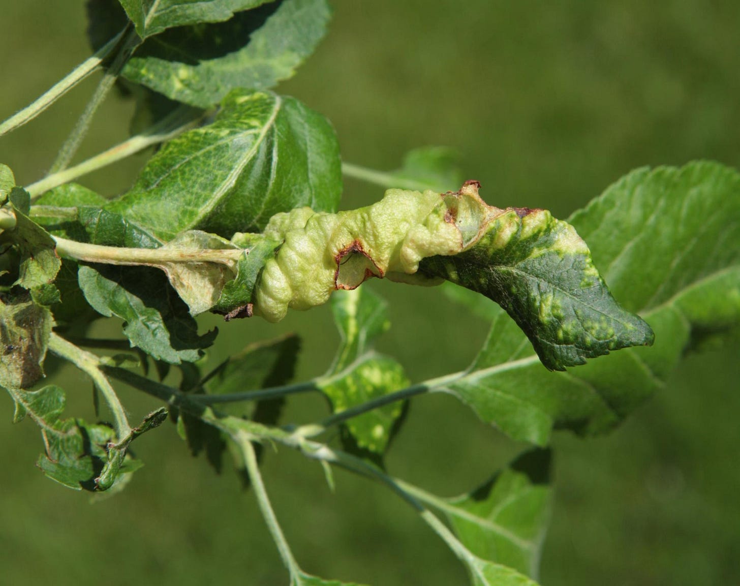
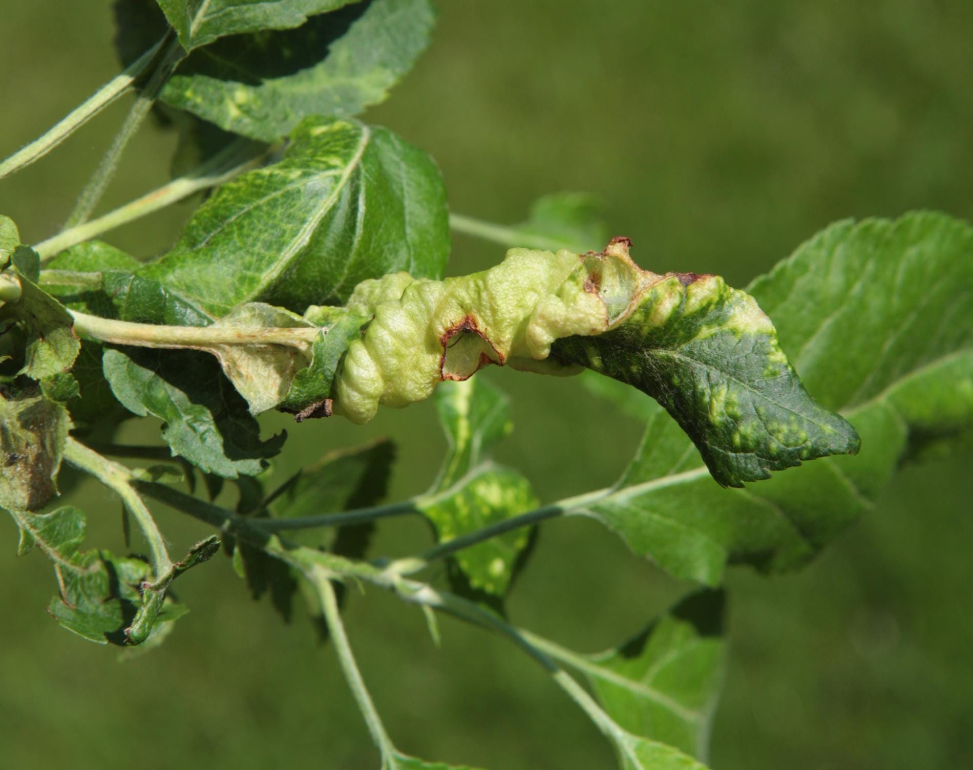
Szürke almalevéltetű (Dysaphis plantaginea): közepes méretű, tömzsi testfelépítésű, sötétszürke vagy jellegzetesen rózsaszínes alapszínű, hamvas kutikulájú levéltetűfaj. Komoly kárt csak almán okoz: a tavaszi nemzedékek szívogatásának hatására a károsított levelek erősen sodródnak, a szívogatott hajtások és gyümölcskezdemények satnyulnak, torzulnak. A besodort levelek mindig zöldek maradnak, de legtöbb esetben nagyon korán lehullanak. A kolóniák nagymennyiségű mézharmatot ürítenek (obligát hangyakapcsolt faj), így a környező leveleket vastagon borítja a csillogó bevonat, melyen hamarosan megjelenik a fekete korompenész is, így tovább csökken a növény fotoszintetikus felülete. A levéltetű felszaporodásának elsősorban a nyirkos és mérsékelten meleg késő tavaszi időjárás kedvez, ezért főként Nyugat-Európában fontos kártevő, de jelentősége hazánkban is növekszik. Nyári tápnövényei különféle útifűfajok, az almára csak az ivaros alakok térnek vissza októberben.
Közönséges levélpirosító almalevéltetű (Dysaphis devecta): A szürke almalevéltetűhöz hasonló megjelenésű, szintén almaspecifikus kártevő, levélsodratai azonban az előző fajéhoz képest kisebbek, keményebbek, valamint a levéltetvek nyálában található anyagoknak köszönhetően sárgástól égővörösig terjedő színt vesznek fel. Idő előtti lombhullást általában nem okoz, kártétele inkább látványos, mint jelentős. Az ivaros életszakasz már júniusban lezajlik, így a migráció elmarad, a faj a nyarat, az őszt és a telet is tojás alakban vészeli át.






